Simrad NSS7 - sounder porn
Submitted by randall df223 on Thu, 2014-09-11 20:42
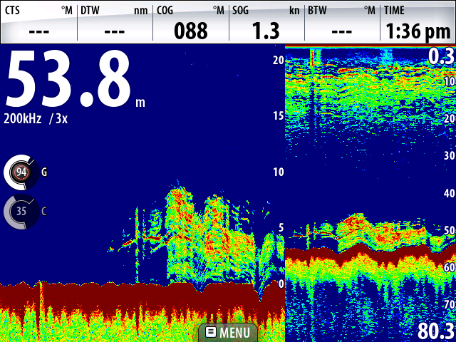
My new Simrad NSS7 works well. Very happy with its first day out.
____________________________________________________________________________
Fish! HARD!


sstevee
Posts: 472
Date Joined: 15/11/11
You got out today then
You got out today then Randall?... How'd you go?... Pull anything up from those showings?
randall df223
Posts: 6454
Date Joined: 08/08/11
My deckie hooked onto what
My deckie hooked onto what we reckon was a good Sambo on this bait ball, but got busted off after about 5 minutes
Fish! HARD!
sstevee
Posts: 472
Date Joined: 15/11/11
Yea, you can sort of see the
Yea, you can sort of see the bigger lines/fish on the outside of the school... That's cool mate, thanks for posting!... How was the swell?
randall df223
Posts: 6454
Date Joined: 08/08/11
About 3 m. But there wasn't
About 3 m. But there wasn't much wind
Fish! HARD!
Shark1
Posts: 1083
Date Joined: 21/05/12
If u bought a Furuno you
If u bought a Furuno you would have landed it. ;)
looks crisp and clear. Very nice
Rig
Posts: 2925
Date Joined: 27/12/06
lol
randall df223
Posts: 6454
Date Joined: 08/08/11
Do furuno owners tie better
Do furuno owners tie better knots?
Fish! HARD!
uncle
Posts: 9635
Date Joined: 10/02/07
if it broke at the knot
that's angler error!!!!! used to have a crewie who this happened to , called him slipknot
all aggressive fish love bigjohnsjigs
Cruise Control
Posts: 963
Date Joined: 03/11/10
Good clear pic Randall, You
Good clear pic Randall, You have it dialled in very nicely.
cheers
randall df223
Posts: 6454
Date Joined: 08/08/11
A very handy feature of
A very handy feature of these units is the screen capture function. No trying to get a photo on the phone. Just make sure the cursor isn't functioning or the info bar at the top isn't displaying the lat / long.
Otherwise you give away a secret or three.
Fish! HARD!